Na celom Slovensku sa SMERáci a firmy na ich stranu prepojené správajú ako to povestné – Vyhraj voľby, môžeš všetko. Na Luniku I v Košiciach realizuje svoj malý developerský „sen“ firma Domov Terasa s.r.o. Takmer každý počin danej firmy vo verejnom priestore je diskutabilný a to len preto, že ich najväčším lobistom je samotný starosta Mestskej časti Košice Západ Ján Jakubov aj s jeho zástupcom Andrejom Sitkárom + celé smerácke vedenia mesta Košice.
Hlavní aktéri (skúste hádať, ktorí z nich budú podvodníci a ktorí podvedení):
1, Domov Terasa s.r..o
2, Zákazníci Domov Terasa s.r.o., čiže už bývajúci na Považskej 40/A a budúci bývajúci na Považskej 40/B
3, Mesto Košice (SMER) ako stavebný úrad
4, Obyvatelia Luniku I na uliciach Považská, Inžinierska a Laborecká
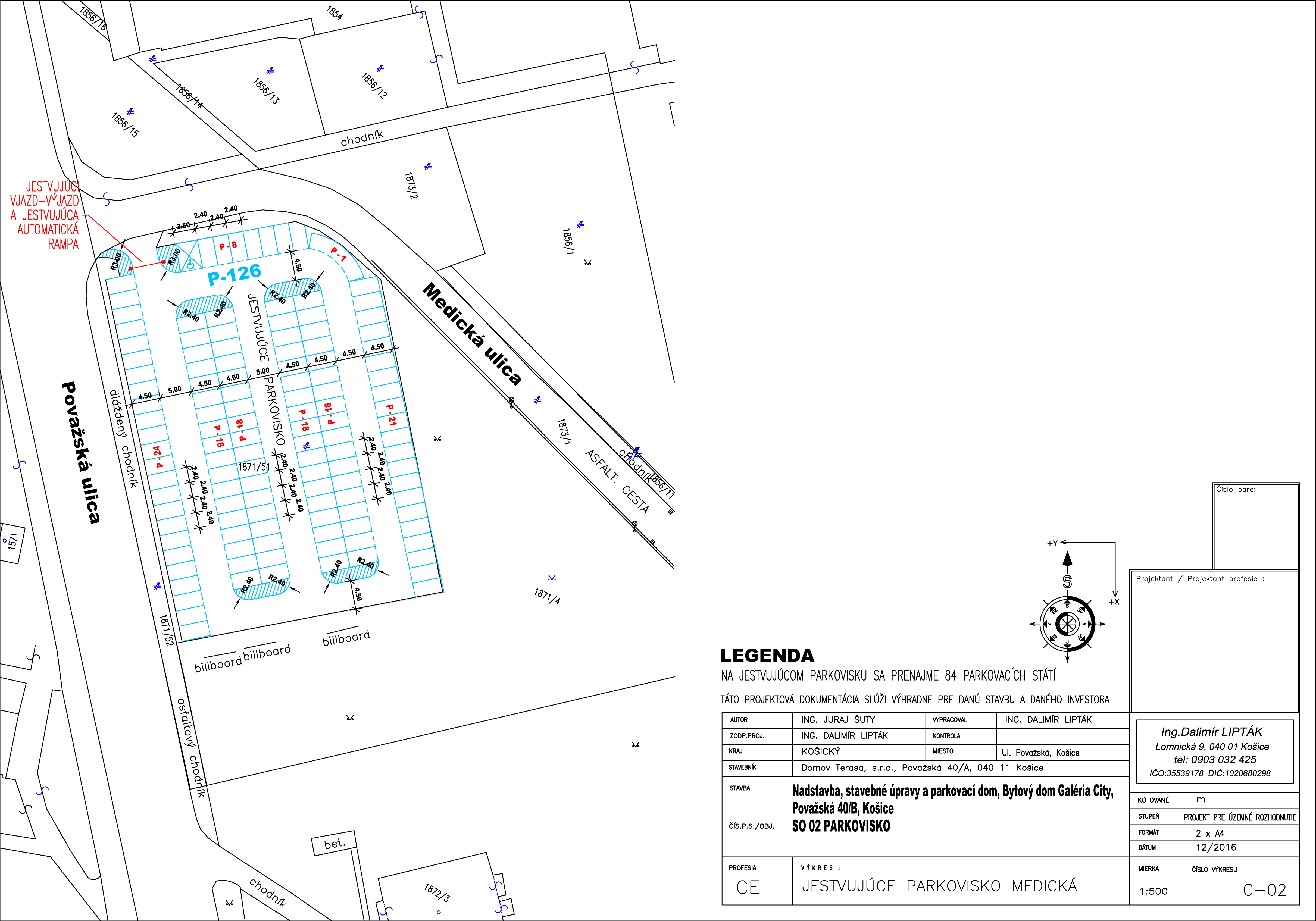
Domov Terasa s.r.o. chce bývalú ubytovňu na Považskej 40/B prestavať na byty, ktoré už vo veľkom predáva. Ak ich bude chcieť skolaudovať, bez parkovacích miest to ale nepôjde. Daný investor plánuje výstavbu parkovacieho domu medzi budovami Považská 40/A (už prestavaná na byty) a 40/B. Podľa materiálov, ktoré investor a smeráci dali schváliť poslancom mesta, tam môžu postaviť 3-poschodovú garáž (podzemie, prízemie, strecha). No idú postaviť len 2 vrstvový parkovací dom, čiže im bude chýbať 84 park.miest, a „neskorupmovaným“ poslancom mesta Košice a starostovi Jakubovovi to nevadí, aj keď samotný Jakubov ako mestský poslanec hlasoval, že Domov Terasa si musí svoje parkovacie potreby riešiť medzi budovami. No nerieši. A tak vymysleli ďalší, ako to slušne nazvať, odrb, a veria, že stavebný úrad, čiže mesto Košice, čiže Richard Raši a celý červený organizovaný z….n, čiže SMER v bielom dome, im to pečiatkou a s podpisom Richarda Rašiho požehnajú.
O čo sa jedná?
Chýbajúcich 84 parkovacích miest si nepostavia, ale prenájmu od UPJŠ pred Medickými internátmi. Odstavec III článku III zmluvy o prenájme stojí zato:
A kde to škrípe ?
1, Kde budú parkovať obyvatelia Považskej 40 po 07,00 hod. cez deň? Vo vzduchu? Nemalo by sa jednať o trvalé a nie dočasné parkovacie miesta? Po 07,00 hod. budú pekne platiť za parkovacie miesto, aj keď by sa malo nachádzať priamo pri bytovke, alebo radšej budú parkovať na okolitých uliciach medzi blokmi.
2, Ani samotné normy nedovoľujú riešiť parkovacie potreby tak, že parkovacie miesta sú od bytového domu na hony vzdialené a najmä, ak sa medzi nimi nachádzajú bytové domy a ich parkoviská.
3, Dokedy bude platiť nájomná zmluva na parkovacie miesta? Večne?
4, Keď prestane platiť nájom.zmluva, kde bude parkovať 84 obyvateľov z Považskej 40?
5, Môže pri takto (ne)riešenom parkovaní stavebný úrad, čiže mesto Košice, skolaudovať budovu na Považskej 40/B? Podľa viacerých odborníkov nie. Vyhraje zákon alebo SMER?
Tak či tak, Lunik I sa vďaka zbabranej realizácii, na ktorej majú najväčšiu zásluhu politici SMERu, musí pripraviť na citeľný nárast áut obyvateľov z Považskej 40, lebo pravdepodobne väčšina si nekúpi park.miesta v park dome a druhá časť odmietne parkovať na parkovacom mieste od 17,00 hod. do 07,00 hod.
Riešenie?
1, Obyvateľia Považskej 40/A a 40/B by sa mali dať dokopy a žiadať seriózne-trvalé riešenie parkovacích potrieb pre oba bytové domy od investora, lebo ináč sa môžu z nich stáť autobezdomovci bez parkovacích miest.
2, Poslanci MČ Košice Západ (8 smerákov z 13) by sa mali touto časovanou bombou zaoberať, v čo ale neverím, lebo starosta Jakubov a jeho zástupca Sitkár sú pre občanov danej lokality najväčšou škodnou (viď ich hlasovania v prospech investora na úkor občanov). Strana nepustí.
3, Ak stavebný úrad náhodou vydá kolaudačné rozhodnutie obratom bude napadnuté cez prokuratúru, lebo bude v rozpore minimálne so STN.
Celá nájomná zmluva:






Spätné upozornenie: Na Komisii dopravy som prítomných upozornil na pochybnú parkovaciu zmluvu k Považskej 40. | MVDr. ZDENKO LIPTÁK ...vždy na strane občanov a ich práv